Шпион на миллиард долларов. История самой дерзкой операции американских спецслужб в Советском Союзе - Дэвид Хоффман
Книгу Шпион на миллиард долларов. История самой дерзкой операции американских спецслужб в Советском Союзе - Дэвид Хоффман читаем онлайн бесплатно и без регистрации! Читать онлайн вы можете не только на компьютере, но и на андроид (Android), iPhone и iPad. Наслаждайтесь!
270 0 11:20, 14-05-2019Книга Шпион на миллиард долларов. История самой дерзкой операции американских спецслужб в Советском Союзе - Дэвид Хоффман читать онлайн бесплатно без регистрации

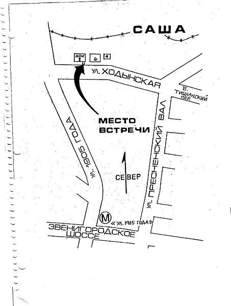
Гилшер и другие сотрудники резидентуры готовили схемы и планы для Толкачева. На рисунке показано место встречи под кодовым названием “Саша”.
Первая шпионская камера “Молли” (вверху), выданная Толкачеву для копирования документов, работала неудовлетворительно. Позже ЦРУ передало Толкачеву миниатюрный фотоаппарат Tropel, спрятанный в брелоке для ключей (внизу).

Страница инструкции для аппарата Tropel. Камера была гениальным инженерным изобретением. С ее помощью Толкачев сумел переснять документы, запершись на работе в мужском туалете. Публикуется с разрешения Г. Кита Мелтона и архива Мелтона.

Джон Гилшер в московской резидентуре. Публикуется с разрешения Дэвида Ролфа.

Дэвид Ролф, второй куратор Толкачева. Перед тем как начать работать с Толкачевым, Ролф сумел провести успешную эвакуацию агента CKUTOPIA (“Утопия”). Публикуется с разрешения Дэвида Ролфа.

Знак “V”, оставленный агентом CKUTOPIA на столбе. Операция по эвакуации агента началась вскоре после того, как в один из воскресных дней в начале 1980 года Ролф увидел этот знак. Публикуется с разрешения Дэвида Ролфа.

Пропуск Толкачева. В ЦРУ пытались изготовить фальшивый пропуск для Толкачева, чтобы он мог выносить с работы секретные материалы. Несмотря на многие усилия, Толкачев пользовался этим документом очень недолго — всего несколько недель летом 1982 года.

Английский перевод записки Толкачева, передавшего образцы для копирования: “В пропуск Б вложены отрезанные от моего пропуска полоски бумаги: одна, цветная, с внутренней страницы, вторая — от обложки”. Публикуется с разрешения Г. Кита Мелтона и архива Мелтона.

Бертон Гербер, шеф московской резидентуры в 1980–1982 годах, позже глава советского отдела ЦРУ, и его жена Розали. Гербер участвовал в разработке правил для отбора новых сотрудников ЦРУ и успешно применил в Москве новый метод работы, используя глубоко законспирированных агентов. Публикуется с разрешения Бертона Л. Гербера.

Роберт Моррис за рабочим столом. Административная служба была его прикрытием. Публикуется с разрешения Роберта О. Морриса.

В высотном здании, где была квартира Толкачева, жили представители советской элиты — деятели авиационной и космической отрасли. Фото автора.

Чтобы сообщить о своей готовности встретиться, Толкачев подавал условный сигнал — открывал кухонную форточку. Фото автора.

Главным шпионским оборудованием Толкачева была 35-миллиметровая зеркальная камера Pentax ME. Ею он отснял тысячи страниц секретной документации. Titrisol / Wikimedia Commons.
Прочитали книгу? Предлагаем вам поделится своим впечатлением! Ваш отзыв будет полезен читателям, которые еще только собираются познакомиться с произведением.
Уважаемые читатели, слушатели и просто посетители нашей библиотеки! Просим Вас придерживаться определенных правил при комментировании литературных произведений.
Просьба отказаться от дискриминационных высказываний. Мы защищаем право наших читателей свободно выражать свою точку зрения. Вместе с тем мы не терпим агрессии. На сайте запрещено оставлять комментарий, который содержит унизительные высказывания или призывы к насилию по отношению к отдельным лицам или группам людей на основании их расы, этнического происхождения, вероисповедания, недееспособности, пола, возраста, статуса ветерана, касты или сексуальной ориентации. Просьба отказаться от оскорблений, угроз и запугиваний. Просьба отказаться от нецензурной лексики. Просьба вести себя максимально корректно как по отношению к авторам, так и по отношению к другим читателям и их комментариям.
Надеемся на Ваше понимание и благоразумие. С уважением, администратор My-Books.me.
Оставить комментарий
-
Александра15 январь 09:37
Очень интересная книга! Особенно, если любишь психологию и хочешь понимать себя и других. Обязательно послушаю до конца. Спасибо....
Кригер Борис – Гнев
-
Галина25 май 13:02
Очень уважаю Артема Шейнина, книга замечательная, очень мне близкая по духу.Перечитываю уже второй раз, столько пережитого и не...
Мне повезло вернуться - Артем Шейнин
-
Екатерина11 январь 08:05
Доброе утро. Подскажите пожалуйста как сохранять книги, ставить закладки?...
Подонок - Анастасия Леманн