Последний триумф Вермахта. Харьковский "котел" - Константин Быков
Книгу Последний триумф Вермахта. Харьковский "котел" - Константин Быков читаем онлайн бесплатно и без регистрации! Читать онлайн вы можете не только на компьютере, но и на андроид (Android), iPhone и iPad. Наслаждайтесь!
214 0 08:06, 14-05-2019Книга Последний триумф Вермахта. Харьковский "котел" - Константин Быков читать онлайн бесплатно без регистрации

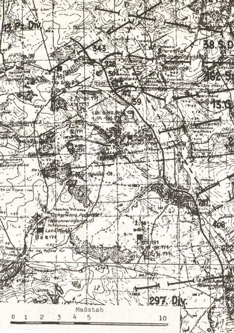
Карта из истории 71-й пехотной дивизии.
«Большой вред делу нанесла также недооценка сил врага, — писал впоследствии командарм-38 К.С. Москаленко. — Эта особенность в деятельности военных советов Юго-Западного направления и фронта, наложившая еще зимой заметный отпечаток на принимаемые ими решения, теперь проявилась еще резче. Мне довелось с ней столкнуться незадолго до начала наступления.
В этот день я приехал на командный пункт фронта, чтобы доложить о замеченных признаках уплотнения боевых порядков врага и значительном укреплении переднего края его обороны.
Дело в том, что, принимая обратно часть плацдарма за Северским Донцом, я увидел там большие перемены на переднем крае противника. Две недели назад, когда мы передавали 21-й армии[54]этот участок, враг располагал здесь лишь опорными пунктами в селах. Теперь же, кроме ранее существовавших, появилось много новых, причем оборудованы они были не только в населенных пунктах, но и вне их, на тактически выгодных рубежах.
Эти наблюдения дополнили данные разведки. Из них явствовало, что, например, на участок 294-й пехотной дивизии, оборонявшейся в полосе предстоящего наступления 38-й армии[55], был выдвинут еще один пехотный полк. Он принадлежал к 71-й пехотной дивизии, основные силы которой, совместно с 3-й и 23-й танковыми дивизиями, сосредоточились к тому времени в Харькове.
С одной из этих танковых дивизий — 3-й — части 38-й армии уже сталкивались во время мартовских боев за расширение Старосалтовского плацдарма на западном берегу Северского Донца. Тогда она нанесла нам неожиданный и чрезвычайно опасный удар.
Как уже отмечалось, для ликвидации его последствий нам пришлось приложить немало усилий. И теперь — у меня не было сомнений в этом — неспроста сосредоточилась 3-я танковая да еще вместе с 23-й танковой и 71-й пехотной дивизиями в Харькове, в непосредственной близости от арены боев[56], на направлении предстоящего удара 38-й армии.
В свете всех этих выводов и предположений поутихли мои недавние восторги по поводу нашего превосходства. Оно представилось мне незначительным в полосе наступления в целом и явно сомнительным на ряде участков. Если подтвердятся, полагал я, мои наблюдения относительно значительного укрепления обороны противника и предназначения 3-й и 23-й танковых дивизий, то, например, в полосе 38-й армии перевес сил мог оказаться не на нашей стороне»[57].

Командующий войсками 38-й армии К.С. Москаленко в послевоенные годы.
11–12 мая. 211-й полк 71-й дивизии и его противник перед боем и в бою. «Если не считать нерегулярной диверсионной деятельности, беспокоящего огня пехоты и артиллерии, а также появления дозорных и боевых групп врага, то можно считать, что противник относительно спокойно вел себя на этом участке фронта до 11 мая, — продолжает летопись 71-й пехотной дивизии. — Заранее предусматривалось, что в ночь с 11 на 12 мая полк будет сменен. 13 мая он должен был находиться уже в расположении своей 71-й дивизии. Однако как раз во время смены началось русское массированное наступление с использованием ужасающих масс пехоты и танков. Немецкий фронт дрогнул. Части полка, которые уже успели смениться, сразу же заняли отсечные позиции к востоку от Перемоги. Хотя первый натиск был выдержан, стало ясно, что удержание позиций с такими немногими силами будет недолгим. Большие массы пехоты и сильные танковые отряды надавили на позиции. В этой борьбе погиб командир 1-го батальона майор Хертель (Hertel).
Все большие вражеские массы пронизывают место вторжения и продвигаются вперед на запад. Возникает большая неразбериха. 3-й батальон, который находится уже на марше к 71-й пехотной дивизии, был остановлен и брошен к месту вторжения. И снова полк своими еще наличествующими силами должен был занимать отсечные и оборонительные позиции, чтобы предотвратить дальнейшее продвижение врага вперед. При этом он нес очень высокие потери.
Пока I.R.211, находящийся при 294.I.D., вел бои, все части 71-й пехотной дивизии прибыли в район Харькова»[58].
А вот как виделось вступление в Харьковское сражение 211-го полка нашими глазами:
«В ночь на 12 мая полки заняли исходное положение для наступления, — сообщает о начале боев 13-й гвардейской стрелковой дивизии И.А. Самчук. — Немецко-фашистское командование, не подозревая о готовящемся ударе на этом направлении, производило в это время смену 295-й пехотной дивизии[59]частями 71-й пехотной дивизии, прибывшей из Франции. Передний край немецкой обороны всю ночь, как обычно, усиленно освещался ракетами.
На рассвете советские войска начали артподготовку. На огневые точки противника обрушился удар авиации, артиллерии и минометов. Под пулеметный обстрел были взяты все траншеи и ходы сообщения немецкой пехоты.
В 7 часов с наблюдательных пунктов дивизии и полков был подан сигнал о выходе в атаку. Гвардейцы стремительно ворвались на передний край врага. Завязалась ожесточенная схватка.
От мощной артиллерийской и авиационной подготовки части 295-й и 71-й немецких пехотных дивизий понесли большие потери.
71-я дивизия противника уже не раз испытала на себе силу ударов гвардейцев. Пройдя победоносным маршем через всю Францию и Польшу, она летом 1941 года появилась под Киевом, где 8 августа впервые столкнулась с частями 3-го воздушно-десантного корпуса. Хваленая дивизия, попав под удар десантников, понесла такие потери, что была отправлена во Францию на переформирование.
Немецко-фашистское командование, воспользовавшись отсутствием второго фронта в Европе весной 1942 года, бросило на советско-германский фронт большую часть своих резервов, в том числе и переформированную 71-ю пехотную дивизию. В апреле последняя прибыла под Харьков и здесь вторично была разгромлена, а ее 211-й полк почти полностью истреблен. В первый же день майского наступления под Харьковом 13-я дивизия нанесла жестокое поражение 513-му пехотному полку 295-й пехотной дивизии[60]и особенно 211-му пехотному полку 71-й пехотной дивизии противника.
Прочитали книгу? Предлагаем вам поделится своим впечатлением! Ваш отзыв будет полезен читателям, которые еще только собираются познакомиться с произведением.
Уважаемые читатели, слушатели и просто посетители нашей библиотеки! Просим Вас придерживаться определенных правил при комментировании литературных произведений.
Просьба отказаться от дискриминационных высказываний. Мы защищаем право наших читателей свободно выражать свою точку зрения. Вместе с тем мы не терпим агрессии. На сайте запрещено оставлять комментарий, который содержит унизительные высказывания или призывы к насилию по отношению к отдельным лицам или группам людей на основании их расы, этнического происхождения, вероисповедания, недееспособности, пола, возраста, статуса ветерана, касты или сексуальной ориентации. Просьба отказаться от оскорблений, угроз и запугиваний. Просьба отказаться от нецензурной лексики. Просьба вести себя максимально корректно как по отношению к авторам, так и по отношению к другим читателям и их комментариям.
Надеемся на Ваше понимание и благоразумие. С уважением, администратор My-Books.me.
Оставить комментарий
-
Александра15 январь 09:37
Очень интересная книга! Особенно, если любишь психологию и хочешь понимать себя и других. Обязательно послушаю до конца. Спасибо....
Кригер Борис – Гнев
-
Галина25 май 13:02
Очень уважаю Артема Шейнина, книга замечательная, очень мне близкая по духу.Перечитываю уже второй раз, столько пережитого и не...
Мне повезло вернуться - Артем Шейнин
-
Екатерина11 январь 08:05
Доброе утро. Подскажите пожалуйста как сохранять книги, ставить закладки?...
Подонок - Анастасия Леманн